family CERAMBYCIDAE Latreille, 1802
subfamily CERAMBYCINAE Latreille, 1802
tribe Graciliini Mulsant, 1839
genus Axinopalpis dejean, 1835
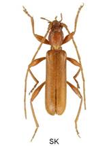
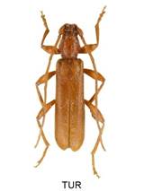
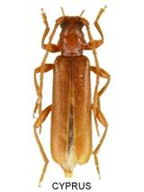
Axinopalpis gracilis (Krynicki, 1832)





Velikost 5-12 mm.
Bionomie. Druh listnatých lesů, parků a starších zahrad. Vývoj ve slabých odumřelých větvičkách listnatých dřevin. Jde zřejmě o přehlížený večerní a noční druh, přilétávající
často na světlo. Podle Demelta (1966) má asi dvouletý vývoj. - Imaga pobíhají za tmy po větvích keřů i starých stromů, za dne sedávají nehnutě na spodní straně větviček a dají se
i sklepávat. Výskyt imág V. - VII., nejčastěji konec V. a počátek VI.
Živné rostliny - Quercus, Cydonia oblonga, Morus, Ulmus; Euonymus, Juglans, Persica, Aesculus, Prunus domestica, Amygdalus, Rosa, Castanea.

